Online Only!

Land Auction

290.73 Acres
O’Brien & Berg

Bidding Opens:

Tuesday, October 3, 2023 at 10:00 a.m., CST

Bidding Closes:

Tuesday, October 10, 2023 at 12:00noon, CST

Bidding Open!

Auctioneer overview

This auction consists of one parcel featuring two quarters of excellent cropland located 10 miles east of Webster, ND or 12 miles west of Lawton, ND on a main county roads.

property breakdown

Auction Terms

*Property will be sold as one (1) parcel.
*The 2023 real estate taxes will be paid by the sellers.
*The sellers will retain all income for 2023.
*Property will be sold free of 2024 contract.
*Sellers will retain 100% of the owned subsurface minerals.
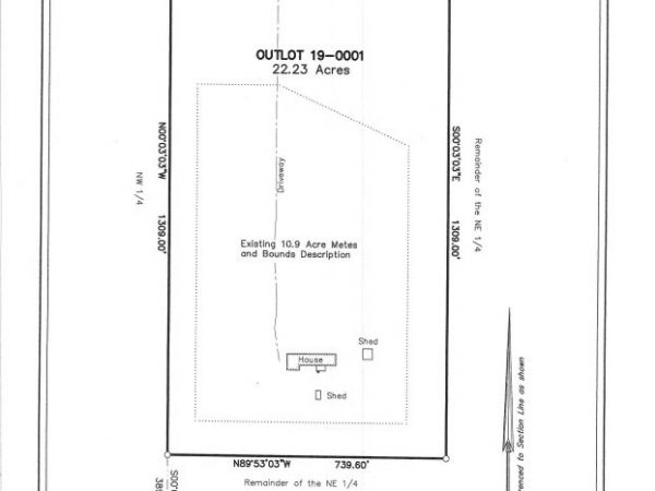
*Farmstead acres of 10.3 acres already surveyed out.
An additional 11.93 acres, more or less, has been surveyed off.
Map below gives an approximate depiction of the forthcoming survey.
* Farmstead owners will grant an easement to clean the drainage ditch through their property.
*Cash at close, 45 days from signing of purchase agreement.
* 10% earnest money due sale day.

Agent Information

Amy Nikolaisen
Amy Nikolaisen

Amy Nikolaisen

Auctioneer, Broker, Realtor

Direct: (701) 968-4455
Cell: (701) 303-0392
amy@niklandco.com

Amy Nikolaisen

Auctioneer, Broker, Realtor

Direct: (701) 968-4455
Cell: (701) 303-0392
amy@niklandco.com
Tom Nikolaisen
Tom Nikolaisen

Tom Nikolaisen, Jr.

Auctioneer, Attorney, Realtor

Direct: (701) 968-4455
Cell: (701) 303-0395
tom@niklandco.com

Tom Nikolaisen, Jr.

Auctioneer, Attorney, Realtor

Direct: (701) 968-4455
Cell: (701) 303-0395
tom@niklandco.com

Parcel Information

Legal:  N 1/2 Section 32, T156N, R62W, (Cato Twp), LESS 22.23 acres farmstead, Ramsey County, ND

2022 Real Estate Taxes:   $2,379.80     Deeded Acres:   290.73 +/- (survey forthcoming)

FSA Cropland Acres:  287.80    Soil Productivity Index: 55.4

Base Acres & PLC Yields:  Wheat 180.81 ac, 52 bu, Soybeans 47.87 ac, 34 bu, Canola 53.92 ac, 1,928 lbs

N2 Sec 32 156 62 fsa 791x1024 1
N2 Sec 32 156 62 soils 791x1024 1
Buyers are urged to inspect the property. Property is being sold AS-IS, WHERE IS. Announcements made sale day take precedence over all printed materials. 
This auction is managed by Nikolaisen Land Company, Amy Nikolaisen, ND #951 – Tom Nikolaisen, ND #2038. Seller reserves right to accept or reject any and all offers.

Auction Images

(click to expand)